Terreno Padrão à venda em São José dos Campos no bairro Chácaras Pousada do Vale
Terreno
São José dos Campos - SPChácaras Pousada do Vale - São José dos Campos/SPCód: 55784
Área
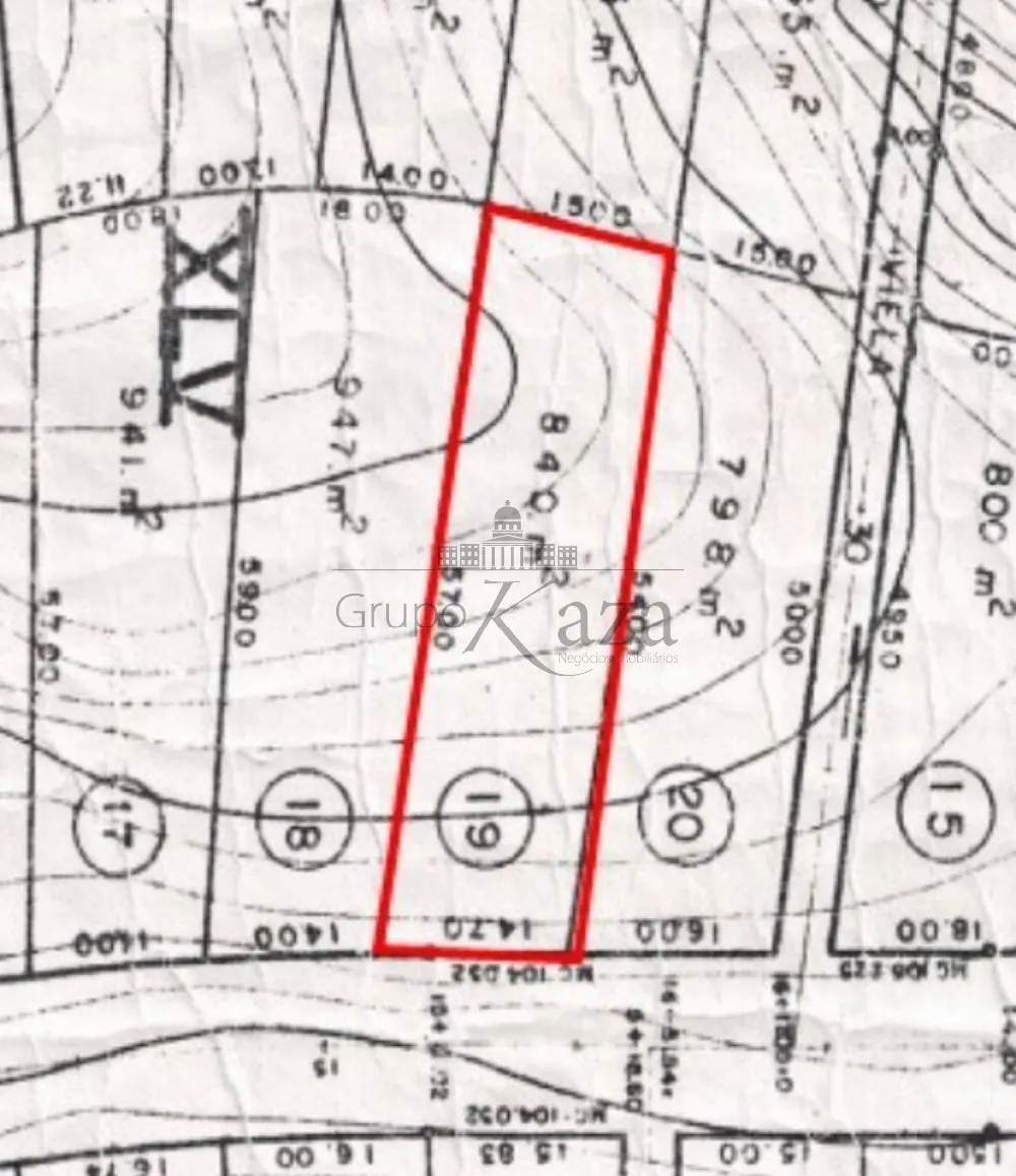
840.00 m²
Sobre o imóvel
Terreno - Chácara Pousada do Vale - 840m² Aceita carro ou caminhão como parte de pagamento Esse terreno está localizado no Chácara Pousada do Vale, possui fácil acesso às principais vias da região Conheça as características deste terreno: - Terreno 840m² - 14.70 X 57.00 - Plano ...
e limpo
- Rua asfaltada, bairro com toda infraestrutura, documentação ok
- Pronto para construir
- Terreno pode ser desmembrado e vendido - tendo assim área de 420m²
- Aceita carro ou caminhão como parte de pagamento
Que tal agendar uma visita e conhecer este imóvel hoje mesmo?
Também temos imóveis no Vista Verde, Jardim Americano, Jardim Motorama, Jardim São Vicente, Jardim Nova Detroit, Jardim Diamante, Parque Novo Horizonte, Jardim Boa esperança, Jardim Castanheiras, Residencial Dom Bosco, Portal do Céu, Campos de São José, Jardim Mariana I, Jardim Mariana II, Cajuru, Chácaras Pousada do Vale, Chácaras Araújo, Santa Helena, Santa Lúcia, Loteamento Dunamis, Majestic, Capão Grosso, Jardim Paraíso do sol, Jardim São Rafael, Jardim Santa Inês I, Jardim Santa Inês II, Jardim Santa Inês III, entre outros da região.
Seja para vender, alugar ou adquirir um imóvel procure o Grupo Kaza, a sua imobiliária em São José dos Campos.
O Grupo Kaza atua com foco em atender seus clientes com excelência seja em locação, vendas de imóveis prontos, usados ou mesmo nos principais lançamentos da região de São José dos Campos.
Vem você também para o Grupo Kaza, excelência em consultoria imobiliária.
As informações contidas neste anúncio foram informadas pelo proprietário (a) do imóvel e possuem seus direitos reservados
Total para compra
R$ 340.000,00
Imóveis
Similares
VendaMelhor InvestimentoFinanciamentoExclusivo
Casa à venda em São José dos Campos no bairro Vila Indústrial - 2 quartos
Casa
Total R$ 420.000,00Condomínio: R$ 120,00
IPTU: R$ 25,00
Vila Indústrial
São José dos Campos, SP70.00 m²
02
01
Venda
Casa à venda em São José dos Campos no bairro Campos de São José - 3 quartos
Casa
Total R$ 320.000,00IPTU: R$ 65,00
Campos de São José
São José dos Campos, SP98.00 m²
03
05
VendaFinanciamento
Apartamento à venda em São José dos Campos no bairro Jardim América - 2 quartos
Apartamento
Total R$ 385.000,00Condomínio: R$ 350,00
IPTU: R$ 80,00
Jardim América
São José dos Campos, SP58.00 m²
02
01
VendaFinanciamento
Apartamento à venda em São José dos Campos no bairro Jardim São Dimas - 1 quarto
Apartamento
Total R$ 290.000,00Condomínio: R$ 1.800,00
IPTU: R$ 150,00
Jardim São Dimas
São José dos Campos, SP52.00 m²
01
01
01


